
Bamwe mu baguzi n’abacuruza amafi baravuga ko umusaruro w’amafi ugenda ugabanuka ndetse n’igiciro kiri hejuru
Sep 1, 2022 - 01:36
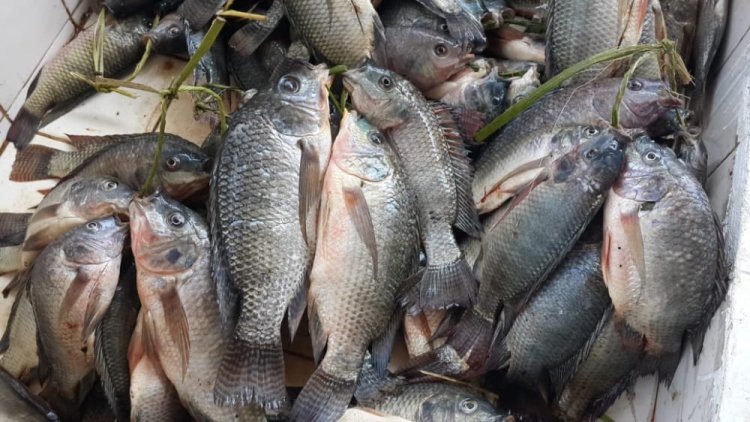
Bamwe mu baguzi n’abacuruza amafi mu duce dutandukanye bavuga ko umusaruro w’amafi ugenda ugabanuka ndetse n’igiciro cyayo ku isoko kiri hejuru cyane, basaba ko gahunda ya leta yo kongera umusaruro w’amafi yashyirwamo imbaraga kuko bishobora kongera amafi ku isoko ari nako bijyana n’igabanuka ry’ibiciro byayo.
kwamamaza
Aba baguzi hamwe n’abacururiza amafi mu duce tunyuranye two mu mugi wa Kigali, baganiriye na Isango Star bahamya ko ugereranyije n’ubundi bwoko bw’inyama, ikiguzi cy’amafi kiri hejuru cyane ngo guhera ku murobyi kugeza ku baguzi.
Gusa ngo leta y’u Rwanda iri kongera imbaraga mu burobyi bw’umwuga no kubungabunga ibinyabuzima byo mu mazi kandi ngo ibyo bizatanga umusaruro.
Ni mu butumwa Cecile Uwizeyimana umuyobozi ushinzwe ubworozi bw'amafi mu kigo cy’igihugu gishinzwe ubuhinzi n’ubworozi RAB, yahaye Isango Star.
Yagize ati imbaraga ziri gushyirwa mu kongera umusaruro uturuka mu bworozi no kubungabunga ibinyabuzima byo mu biyaga bikorerwamo uburobyi bw'umwuga hanaterwa umurama w'amafi ya Tilapia mu biyaga by'imbere mu gihugu no mu byanya bikoreshwa mu kuhira mu buhinzi.
Ibyo yaba abaguzi n’abacuruza umusaruro uturuka ku mafi bavuga ko ubwo buryo bwaba ari bwiza kandi ko bushobora kongera umusaruro maze ukaba mwinshi bityo igiciro kikagabanuka mu gihe byaba bishyizwe mu bikorwa.
Kugeza ubu mu Rwanda hasarurwa toni ibihumbi 43,650 z’amafi mu gihugu hose gusa,imibare yo mu 2020 yerekanye ko Umunyarwanda abarirwa ko arya ibilo 2.5 by’amafi ku mwaka wose , ni ikigero gito ugereranyije n’ibindi bihugu byo muri Afurika y’Iburasirazuba aho umuturage abarirwa ko arya ibilo nibura bitandatu.
Berwa Gakuba Prudence Isango Star Kigali
kwamamaza
Kiny
Eng
Fr


